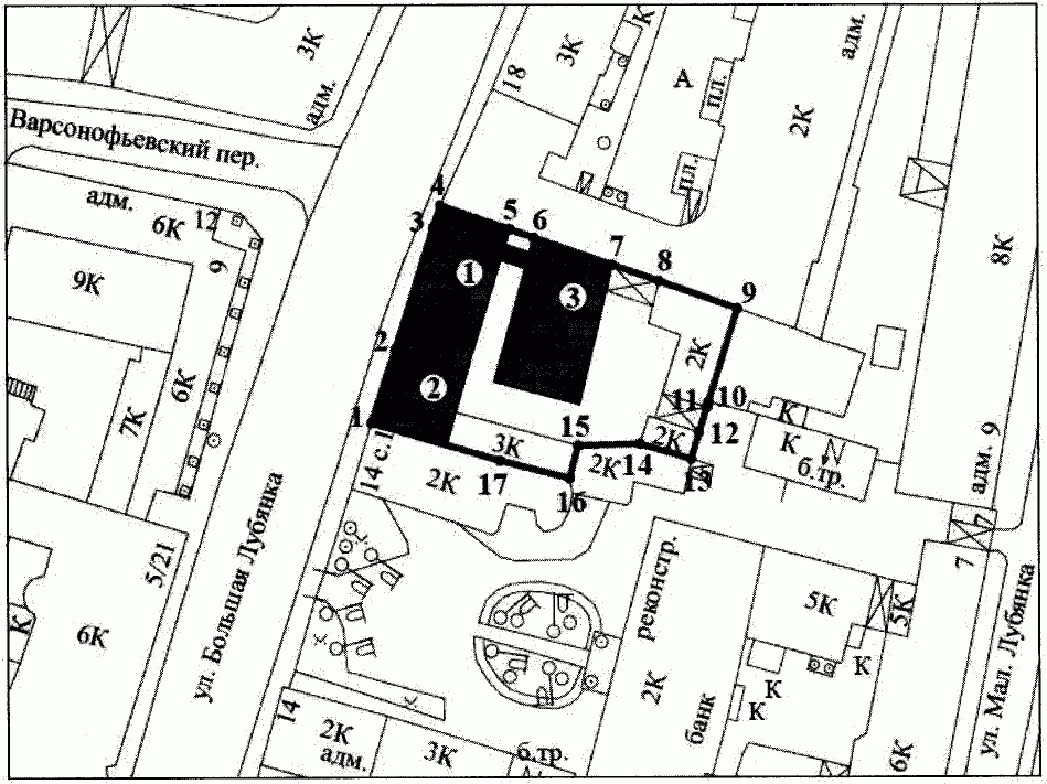
Приказ Минкультуры России от 20.02.2024 N 311 "О включении выявленного объекта культурного наследия "Ансамбль Подворья Макарьевского Желтоводского монастыря", XVII - XVIII вв., 2-я половина XIX в., 1908 - 1910 гг. (г. Москва, ул. Б. Лубянка, д. 16, стр. 1, 2, 3) и выявленных объектов культурного наследия в его составе в единый государственный реестр объектов культурного наследия (памятников истории и культуры) народов Российской Федерации в качестве объектов культурного наследия федерального значения и утверждении границ их территории" (Зарегистрировано в Минюсте России 02.04.2024 N 77751)

Этот документ в некоммерческой версии КонсультантПлюс доступен по расписанию:

  • по рабочим дням с 20-00 до 24-00 (время московское)
  • в выходные и праздничные дни в любое время

Вы можете заказать документ на e-mail

Тексты документов всегда доступны в коммерческой версии КонсультантПлюс.

Получить спецпредложение на покупку КонсультантПлюс или обратиться в региональный центр КонсультантПлюс.